
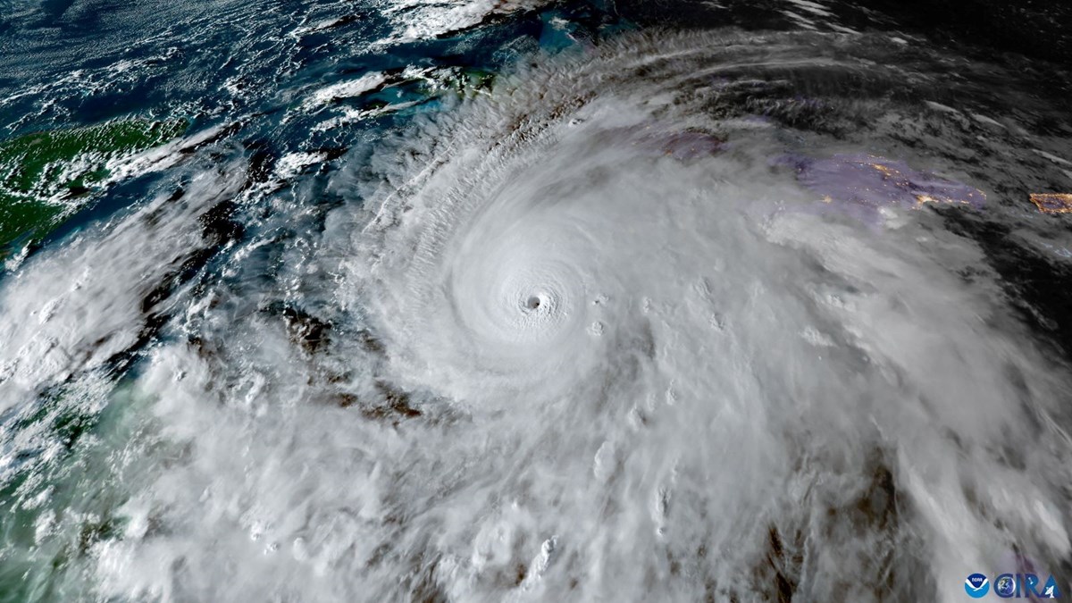
Yılın en güçlü kasırgası olan kategori 5 seviyesindeki Melissa, saatte 282 kilometre hızla Jamaika’ya doğru ilerliyor. Uzmanlar, 1851’den bu yana Jamaika’yı vuran en şiddetli kasırga olarak kayıtlara geçen Melissa’nın ada genelinde felaket düzeyinde rüzgarlar, sel ve toprak kaymalarına yol açmasını bekliyor.

ABD’li meteorologlar, “felaket düzeyinde ve yaşamı tehdit eden” koşulların yaklaşmakta olduğu konusunda uyarıyor.

ABD Ulusal Kasırga Merkezi’nin (NHC) verilerine göre, kasırga bugün erken saatlerde Jamaika’ya doğrudan çarpacak.

Uzmanlar, kasırganın yavaş ilerlemesi nedeniyle uzun süreli sağanak yağışların ölümcül sel ve toprak kaymalarına neden olabileceği uyarısında bulundu.

Mevcut gücüyle Melissa, 1851’den bu yana Jamaika’yı vuran en şiddetli kasırga olacak.

Kasırganın merkezindeki göz duvarı bölgesinde “tam yapısal yıkımın muhtemel” olduğu belirtilirken, yüksek rakımlı bölgelerde rüzgar hızının yüzde 30 daha güçlü hissedilebileceği bildirildi.

“Hayati tehlike taşıyan sel ve toprak kaymaları bekleniyor. Sakın dışarı çıkmayın. Kasırganın gözü geçerken dışarı çıkmak ölümcül olabilir.”
Yetkililer, önümüzdeki dört gün boyunca adanın bazı bölgelerine 100 santimetreye kadar yağış düşebileceğini açıkladı.
NHC Başkan Yardımcısı Jamie Rhome, “Bu olağanüstü yağış potansiyeli Jamaika için yıkıcı olacak ” dedi.

Eğitim Bakanı Dana Morris Dixon, BBC’ye yaptığı açıklamada “Ekim ayı boyunca yağmur yağdı, toprak zaten doygun durumda. Şimdi bu kadar yağış olursa, ciddi sel ve heyelanlar kaçınılmaz” dedi.
Dixon, “881 sığınak tamamen faaliyete geçti, hepsi halka açık ve ücretsiz” diye ekledi.
ABD Ulusal Okyanus ve Atmosfer Dairesi’ne (NOAA) bağlı bir Kasırga Avcısı uçağı, şiddetli türbülans nedeniyle veri toplama görevini yarıda bırakmak zorunda kaldı.

Dağlık Hagley Gap kasabasındaki öğretmen Damian Anderson ise Reuters’a konuşarak, “Yollar kapandı, dışarı çıkamıyoruz. Korkuyoruz” ifadelerini kullandı.
Jamaika Başbakanı Andrew Holness, sosyal medya platformu X üzerinden yaptığı açıklamada, “Her Jamaikalı hazırlıklı olmalı, fırtına sırasında evde kalmalı ve tahliye emirlerine uymalı. Bu fırtınayı atlatacağız ve daha güçlü yeniden inşa edeceğiz.” ifadelerini kullandı.